Budżet partycypacyjny Warszawa 2015

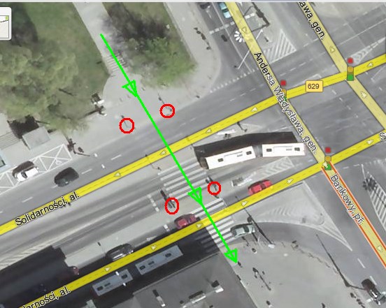
Na przejściu przez al. Solidarności jest komplet przycisków, lecz również w tej sytuacji zmusza to pieszych do wydłużenia trasy, np. w drodze z metra: